El nou element viari estarà a l’altura del sector de la Playtex, a la intersecció entre els carrers Espanya i Suïssa
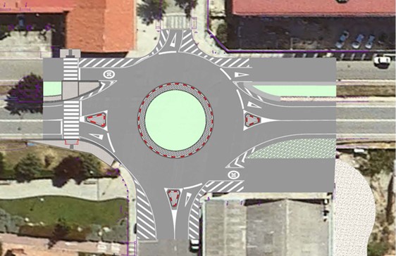
El tram urbà de la carretera de Sabadell (B-124) disposarà en els propers mesos d’una nova rotonda a la intersecció amb els carrers d’Espanya i de Suïssa. Aquest nou element viari, el quart que hi ha en aquest tram urbà de la carretera, permetrà millorar la connectivitat entre tots dos costats de la via i facilitar la circulació i l’accés tant al sector que connecta amb els terrenys de l’antiga fàbrica Playtex i amb l’entorn de l’edifici de Can Turuguet com a la zona residencial i comercial situada entre l’Espai Tolrà i la plaça d’Europa.
Els treballs han començat aquesta setmana amb la senyalització de l’obra, que es preveu enllestir a començaments del 2026. La construcció de la nova rotonda anirà a càrrec del promotor urbanístic que desenvolupa el polígon d’actuació situat entre els carrers Espanya, Suïssa i Itàlia, tal com estableix el Pla d’Ordenació Urbanística Municipal (POUM).
La rotonda, d’un sol carril i amb un diàmetre de 19 metres, connectarà amb tots els vials existents en aquesta cruïlla i també amb un de nou: el futur carrer d’Emília Carles i Tolrà. Aquest nou vial s’urbanitzarà paral·lelament a la carretera, dins del sector d’habitatges previst als terrenys de l’antiga Playtex. La infraestructura està dissenyada per garantir la circulació de tota mena de vehicles, inclosos autobusos rígids de fins a 14 metres de longitud.
Durant l’execució de les obres es mantindrà el trànsit rodat en ambdós sentits, tot i que s’hi podran aplicar restriccions puntuals per motius de seguretat. El projecte d’urbanització també preveu el desviament dels serveis afectats i la incorporació d’un pas de vianants semaforitzat amb botonera per garantir la seguretat i la fluïdesa de la circulació.
El pressupost total dels treballs és de 287.925,37 euros, un import que assumirà íntegrament la promotora del sector.

Ja s’han començat a fer alguns treballs de senyalització en el que serà la nova rotonda. || AJUNTAMENT
LA SEGONA ROTONDA EN CINC ANYS
A mitjans d’agost del 2020 va obrir al trànsit la rotonda entre la carretera B-124 i la ronda Tolosa a l’altura de Can Carner després d’uns dos mesos d’obres. Amb l’entrada en funcionament d’aquesta rotonda, els vehicles procedents de la ronda Tolosa van poder girar a la dreta cap a la carretera de Sabadell en direcció al nucli urbà de Castellar i, d’altra banda, els vehicles que provenien del nucli urbà podien girar a l’esquerra per connectar amb l’esmentada ronda. En tots dos casos, el nou giratori evitava arribar fins a la rotonda existent a l’altura de l’Escola Mestre Pla. El nou element viari va ser finançat pel supermercat Mercadona, que aleshores s’estava traslladant de la B-124 a una nova nau a la ronda Tolosa. El projecte va tenir un cost superior als 870.000 euros. La rotonda es va batejar posteriorment amb el nom d’Eulàlia,
Jerònima i Violant, en record de les tres dones castellarenques que van ser acusades, condemnades i executades pel crim de bruixeria al segle XVII.
EL TRAM ENTRE PEDRISSOS I LA c1415-a
La darrera actuació que s’ha d’entomar en aquest tram urbà de la B-124 és la pacificació del trànsit entre els Pedrissos i la carretera de Terrasa, la C1415-a. Es va fer un estudi de trànsit per valorar opcions entre les dues rotondes (Pedrissos i carretera de Terrassa) De la rotonda dels Pedrissos es va fer un disseny preliminar, però de moment no s’ha previst en pressupost. L’estudi prioritzava la dels Pedrissos i deixava el giratori de la carretera de Terrassa a valorar un cop entri en funcionament el primer. És un punt especialment conflictiu sobretot amb l’entrada i sortida de les escoles que hi ha a la zona.